Casa semi indipendente in Strada Roncaglia, Via Provinciale 12 in zona Roncaglia a Casale Monferrato
casa indipendente con giardino e rustico adiacente
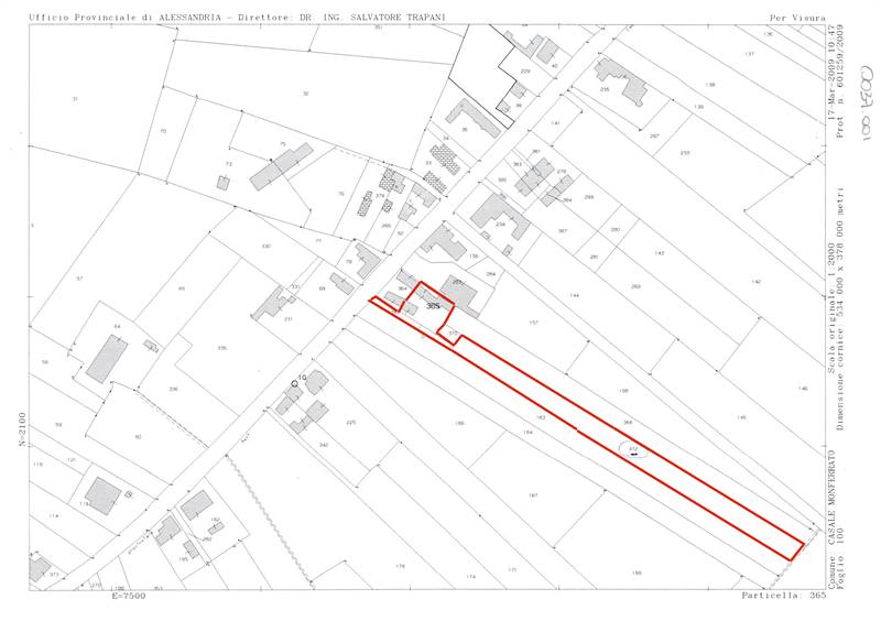
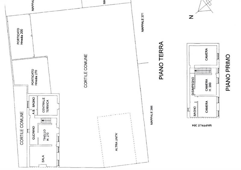
Nella frazione di Roncaglia, poco distante da Casale M.to, si propone in vendita un fabbricato libero sui tre lati, disposto su due piani fuori terra, oltre a magazzino, garage con 3 posti auto, cortile privato, portico, giardino privato e recintato. Terreno circostante. L’abitazione è composta da: al piano terreno ingresso ampio dove poter ricavare un comodo salotto, bella sala con camino, soggiorno con cucinino, bagno completo di box doccia. Al primo piano si trova la zona notte composta da due grandi camere con ottimo panorama sulle colline circostanti, una terza camera da ultimare e bagno molto grazioso completo di vasca. Impianto di riscaldamento autonomo a gas naturale con caldaia a condensazione.
L'Immobile è in buone condizioni.
Si valuta anche l'opzione "affitto a riscatto".
Dove si trova
Informazioni generali
Accessori
Efficienza energetica
Richiesta informazioni all'agenzia
Richiedi informazioni all'agenzia
