Negozio in Piazza Vistallo Zignoni, 33 a San Giovanni Bianco
vendita Negozio San Giovanni Bianco
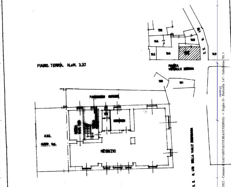
Proponiamo in vendita negozio situato a San Giovanni Bianco al piano terra, inserito in un'edificio d'epoca a destinazione mista residenziale e terziaria, situato in posizione ben visibile e di passaggio.
l'immobile si sviluppa su un unico livello ed è dotato di servizi interni.
l'accesso avviene da Piazza V. Zignoni, tramite due ampie vetrine fronte strada con serrande metalliche, che garantiscono ottima visibilità commerciale, oltre a un ingresso secondario in Via Ceresa.
Internamente presenta pavimentazioni in ceramica e in parte gomma, pareti intonacate e tinteggiate, soffitti con impianti a vista.
l'unità necessita di ristrutturazione, offrendo ampie possibilità di personalizzazione in base alle esigenze dell'attività da insediare.
E' una soluzione ideale per attività commerciali, studi professionali o investimento.
Informazioni generali
Accessori
Richiesta informazioni all'agenzia
Richiedi informazioni all'agenzia
