Terreno industriale in zona Zingonia a Ciserano

23000 m2
€ 2.300.000
Foto Foto
Foto Foto

Terreno industriale in Vendita di 23000 mq a Ciserano

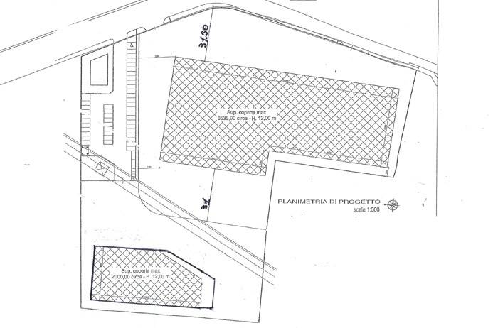
-- CISERANOArea edificabile a destinazione industriale, commerciale e socio assistenziale di mq 23.000 situata in posizione di grande comodità logistica, a pochi passi dal futuro casello di Verdello della bretella Autostradale.L'area ha potenzialità edificatoria per mq 9.300 con altezza massima di metri 12, è dotata di 2 ingressi e 2 uscite ed è concessa la costruzione di edificio industriale / commerciale o anche di struttura Rsa.E' possibile la vendita dell'area edificabile per € 100 / mq da lottizzare oppure per € 126 / mq già lottizzata. Scomputo oneri per € 500.000,00, opere già eseguite € 330.000,00.E' inoltre possibile la vendita della struttura finita per € 800 / mq.E' inoltre possibile l'acquisto dell'area frazionata in 2 lotti:Lotto 1 _ Mq 14.000 con superficie costruibile pari a mq 7.300 ed altezza interna di 12 metri.Lotto 2 _ Mq 6.200 con superficie costruibile pari a mq 4.200 ed altezza interna di 12 metri.CLASSE ENERGETICA: Immobile non soggetto all'obbligo di certificazione energeticaVai all'annuncio: https://www.studio-valle.com/it/ciserano-3/STUDIO IMMOBILIARE VALLEFlaminia S.r.l.Real estate and investments24121 Bergamo - ItalyV.le Vitt. Emanuele II n. 65tel +39 035 231588fax +39 035 232714www.studio-valle.cominfo@studio-valle.comFacebook: StudioImmobiliareValleTwitter: ValleRealEstateSkype: Valle-Real-Estate

Dove si trova

45.596049.599484

Informazioni generali

CISERANO23000B
23000 m2
€ 2.300.000
Vendita
Terreno industriale
Ciserano
Zingonia
Libero
13/03/2024

Planimetria

Richiesta informazioni all'agenzia

Logo agenzia

STUDIO IMMOBILIARE VALLE-FLAMINIA SRL

V.le Vittorio Emanuele II n. 65
Bergamo (BG)

Autorizzazione al trattamento dei dati personali (Mostra)
Dichiaro di aver letto l'informativa sul trattamento dei dati personali e autorizzo espressamente BasicSoft S.r.l. gestore di RisorseImmobiliari.it al trattamento dei dati da me forniti. Accetto inoltre che i dati sopra inseriti siano trasmessi alle agenzie immobiliari interessate per essere da loro ricontattato. BasicSoft S.r.l. declina ogni responsabilità riguardo al trattamento di tali dati da parte delle agenzie immobiliari.
*) Riempire tutti i campi contrassegnati. Almeno uno dei campi telefono e/o cellulare devono essere riempiti
Contatta
RisorseImmobiliari.it © Copyright 2026 - Tutti i diritti sono riservati BasicSoft S.r.l. | C.F./P.IVA: 05269090485 | Reg. Imprese di Firenze | Cap.Soc. Euro 10.330,00 I.V.