Trilocale abitabile a Bergamo
vendita Appartamento Bergamo
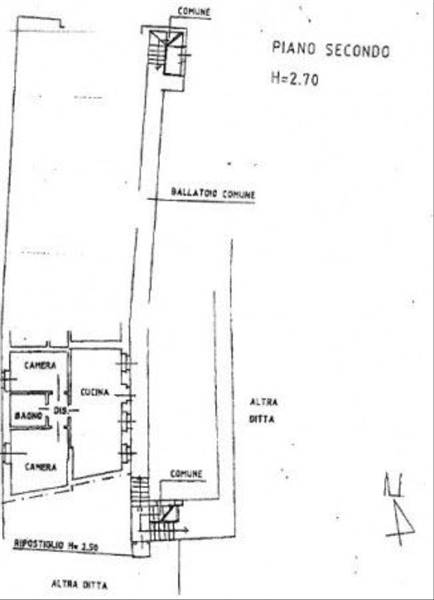
Orobica Immobiliare propone in vendita Trilocale Bergamo Loreto. In zona servita da tutti i negozi per le primarie comodità, linea ATB sotto casa (8/11) Ospedale, giardini pubblici nelle immediate vicinanze, oltre altri numerosi servizi, OROBICA IMMOBILIARE propone in corte recentemente ristrutturata e curata nei dettagli, ottimo trilocale termoautonomo e libero subito. L’appartamento si trova al piano secondo e ultimo, quindi assolutamente tranquillo, ed è composto da: INGRESSO, SOGGIORNO CON CUCINA ABITABILE (attualmente è un locale unico ma lo si può separare), DISIMPEGNO NOTTE, CAMERA MATRIMONIALE, SECONDA CAMERA E BAGNO. Il riscaldamento è termoautonomo e il trilocale ha due lati liberi, inoltre c’è la possibilità di acquistare un posto auto interrato e coperto. Si precisa che è stato rifatto nel 2018 il bagno e sono state cambiate le porte interne.
