Villa abitabile a Sorisole
vendita Villa o villino Sorisole
In zona pedeccolinare e servitissima del paese di sorisole al confine con ponteranica, recentissima (praticamente nuova) e signorile villa singola con finiture di alto livello e curate nei particolari.
La villa è così composta:
piano interrato: locale lavanderia / stireria / bagno, cantina, locale sgombero (taverna) locale tecnico
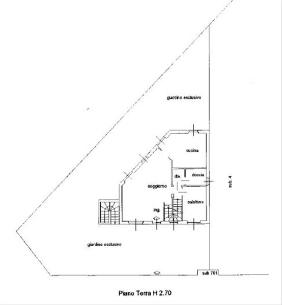
piano terra; ingresso, soggiorno, cucina abiatabile, disimpegno, camera/studio,
bagno.
Piano primo: camera dei ragazzi con cabina armadio, camera matrimoniale con cabina armadio, cameretta, bagno padronale e di grande metratura, balconi.
Piano secondo: mansarda abitabile con terrazzo (ottima vista panoramica) camera da letto matrimoniale per ospiti e relativo bagno.
Giardino in piano.
L'immobile presenta finiture di lusso, il riscaldamento è a pavimento con gestione autonoma piano per piano e stanza per stanza, impianto di climatizzazione, tapparelle elettriche comandate singolarmente e anche in blocco, antifurto, pavimenti in travertino nella zona giorno, parquet a listoni in rovere. Libera subito.
per maggiori informazioni contattate orobica immobiliare al n. 035/57.17. 55 oppure tramite whatsapp al 345/60.54. 271.
