Appartamento da ristrutturare in zona Scarlino Scalo a Scarlino
120 m2
6 vani
4 camere
2 bagni
box
€ 230.000
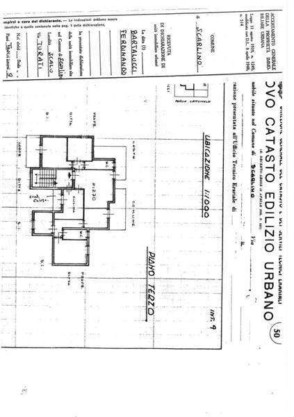
All'interno di una piccola palazzina con quattro unità, proponiamo appartamento posto al terzo ed ultimo piano (dotato di montascale). Composto internamente da cucina abitabile, soggiorno, quattro camere, doppi servizi e tre terrazzi. Doppia esposizione.
Viste le dimensioni dell'immobile è possibile suddividerlo in due unità immobiliari indipendenti l'una dall'altra con possibilità di vendere separatamente. Riscaldamento autonomo, oltre a pompe di calore caldo/freddo. Completa la proprietà un ampio garage.
OTTIMA SOLUZIONE QUALITA'/PREZZO.
Dove si trova
42.9431910.83838
Informazioni generali
S3
120 m2
6 locali
€ 230.000
Vendita
Appartamento
Scarlino
Scarlino Scalo
Libero
04/05/2018
Accessori
2
4
Autonomo
Da ristrutturare
Abitabile
si
si
Efficienza energetica
G
G
175 kwh/m2 anno
Planimetria
Richiesta informazioni all'agenzia
Richiedi informazioni all'agenzia
Studio Immobiliare Corona
VIA BICOCCHI 87
58022
Follonica
(GR)
P.IVA: 00147480537
