Casa singola in Via Chiurlia 29 a Lizzanello
CASA INDIPENDENTE CON AMPIO GIARDINO
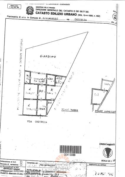
Salento. Hinterland di Lecce. Nei pressi della piazza principale del paese ma nel contempo vicina alla circonvallazione che conduce alla SS 16 Lecce-Maglie, soluzione completamente indipendente di ampia metratura posta al piano terra e composta da 4 vani oltre accessori, veranda coperta e giardino retrostanti. Area solare di proprietà sulla quale insiste un vano ammezzato allo stato rustico. Da ristrutturare e priva di impianto di riscaldamento.
Da allacciarsi alle reti della fogna pubblica e del gas metano.
Prenota la tua visita!
Dispone di due vani con volte a stella. Il resto delle coperture sono solai piani.
Immobile dotato di grandi potenzialità. Il suo punto forte è l'ampio giardino retrostante.
Il prezzo non è trattabile.
Ti interessa? Non esitare a contattarci!
N.B.: Trattasi di immobile già precedentemente pubblicizzato il cui annuncio qualcuno di voi avrà certamente notato in passato. A seguito della chiusura dell'affare con un compratore lo avevamo tolto dal mercato disattivandone l'annuncio. E' oggi nuovamente disponibile in quanto l'acquirente che avevamo trovato non ha potuto rispettare gli impegni presi coi venditori.
La vendita si intende sempre a corpo e non a misura. Le informazioni contenute nel presente annuncio sono puramente indicative e non costituiscono elemento contrattuale.
Per qualsiasi esigenza, chiamateci dal lunedì al venerdì h 9:00-13:00 e 15:30-20:30; sabato solo 9:00-13:00.
Dove si trova
Informazioni generali
Accessori
Efficienza energetica
Video
Richiesta informazioni all'agenzia
Richiedi informazioni all'agenzia
