Bilocale abitabile a Montecreto
43 m2
2 vani
1 camera
1 bagno
€ 60.000
Appartamento in villetta indipendente
MONTECRETO Centro, appartamento in villetta indipendente composto da: soggiorno, cucinotto, camere, bagno, posto auto e giardino condominiale. Arredato.
Dove si trova
44.2489410.71909
Informazioni generali
100 bis
43 m2
2 locali
€ 60.000
Vendita
Appartamento
Montecreto
Singolo
12/07/2013
Accessori
1
1
Autonomo
Abitabile
Abitabile
si
si
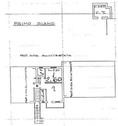
Planimetria
Richiesta informazioni all'agenzia
Richiedi informazioni all'agenzia
Agenzia Le Mura
Corso Umberto I° 8
41029
Sestola
(MO)
P.IVA: 02607150360
