Terreno edificabile in Strada Rovere Santa 39/a in zona Sissa a Sissa Trecasali
603 m2
5 vani
€ 40.000
Terreno edificabile - abitativo a Sissa, Sissa Trecasali
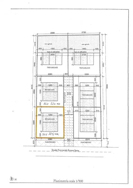
SISSA, in zona comodissima al centro ed in piccola e recente lottizzazione già urbanizzata, proponiamo in vendita in esclusiva lotto di terreno edificabile di mq 603 co SLU di 225 mq. Ottima posizione di testa nel fronte della piccola strada di lottizzazione. Ideale per casa mono-bifamiliare. Possibilità di vendita con lotto edificabile attiguo per realizzare una "stecca" di villette a schiera. € 40.000 Immobil Services 0521/371238 348/5406736...
Dove si trova
44.9632710.26774
Informazioni generali
ERC017
603 m2
€ 40.000
Vendita
Terreno edificabile
Sissa Trecasali
Sissa
Strada Rovere Santa 39/a
Medio Signorile
01/12/2023
Richiesta informazioni all'agenzia
Richiedi informazioni all'agenzia
Immobil Services di Roberto Brozzo
Piazza Martiri della Liberta' 1
43017
San Secondo Parmense
(PR)
P.IVA: 02235330343
