Terreno industriale in zona Parma Centro a Parma
Industriale a Parma, Parma
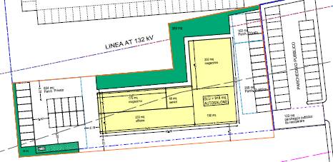
Terreno edificabile in zona ovest
Il terreno è posizionato in vicinanza dell'imbocco della tangenziale ovest di Parma e sulla direttrice principale della via Emilia.
Le attività insediabili sono di tipo artigianale non laboratoriale, commerciale e terziarie e di intermediazione connesse alla residenza.
Ha una superficie fondiaria di 2.950mq circa e una capacità edificatoria massima di 1.770mq circa.
Il progetto illustrato prevede un edificio di 1.389mq su due piani, con visualizzato l'assolvimento di tutti gli standard urbanistici relativi a dotazioni di parcheggi pubblici, privati e verde.
Rif. 1779
Per informazioni:
Immobili Parma Srls, Via Giovanni Giolitti 2/A, 43126 Parma, Tel. 05211962370, info@immobiliaziendali.eu
IMPORTANTE: l’effettivo stato dell’immobile potrebbe in alcuni casi discostarsi dalle caratteristiche tecniche, dalla disposizione interna e gli accessori indicati in annuncio. I portali possono pubblicare dati differenti pertanto la società Immobili Parma Srls declina ogni responsabilità per possibili incongruenze.
Precisiamo inoltre che l’indirizzo pubblicato è indicativo al fine di tutelare la privacy del venditore. L’indirizzo corretto verrà comunicato previo incontro presso la nostra sede....
