Rustico casale da ristrutturare a Budoia
Rustico a Budoia
DARDAGO (RIF. BR-042-RV) RUSTICO INDIPENDENTE A DARDAGO – OCCASIONE DA RIQUALIFICARE
Nel cuore di Dardago, frazione di Budoia, proponiamo in vendita un rustico d’epoca in sasso risalente alla fine dell’800, situato su un lotto indipendente di circa 300 mq.
L’immobile, completamente da riqualificare, conserva il fascino delle costruzioni storiche e offre ampi spazi per un progetto di ristrutturazione su misura. Annessa alla proprietà una tettoia/stalla, ideale per molteplici utilizzi.
La posizione centrale garantisce comodità e vicinanza ai principali servizi, immersa nel contesto suggestivo delle Prealpi friulane.
Se sei alla ricerca di una soluzione con carattere e potenziale, questa è un’opportunità unica!
Per maggiori informazioni o per fissare una visita, contattaci....
Dove si trova
Informazioni generali
Accessori
Efficienza energetica
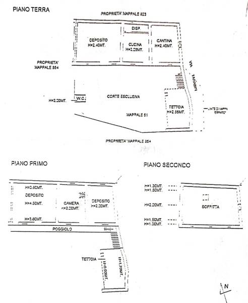
Planimetria
Richiesta informazioni all'agenzia
Richiedi informazioni all'agenzia
