Stabile abitabile a Colonnella
Palazzo / Stabile a Colonnella
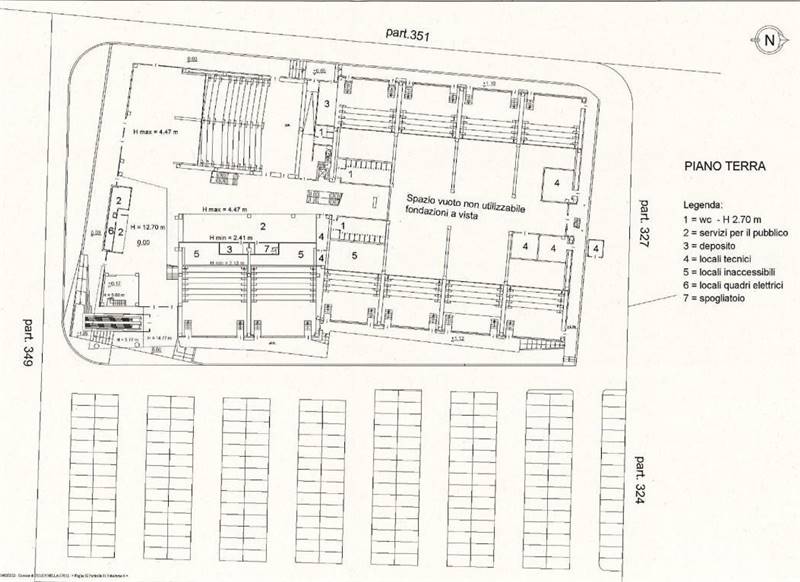
Colonnella (TE) - edificio realizzato nel 2012 in prossimità del casello dell'autostrada A/14 "Val Vibrata" e con affaccio diretto sulla S.P. n. 259 che mette in collegamento tutte le principali località dell'interno con la costa Adriatica, a confine tra Marche e Abruzzo. L'immobile ha attualmente destinazione "cinematografo" e dispone di 11 sale attrezzate per circa 2.500 posti. La struttura si articola su 3 livelli, a partire dall'atrio al piano terra comprendente la biglietteria, il bar, i servizi igienici ed i locali tecnici da cui è possibile raggiungere le varie sale cinematografiche ai piani superiori tramite tre rampe scale ed un ascensore. L'edificio ricade all'interno di un comprensorio commerciale di recente realizzazione con numerose attività presenti. La località è dotata di tutti i servizi ed infrastrutture e grazie all'ottima viabilità permette di raggiungere in pochi minuti tutti i centri limitrofi. Rif. 6541 DiLeoImmobiliare in collaborazione con Cerved Property Services srl...
Dove si trova
Informazioni generali
Accessori
Efficienza energetica
Richiesta informazioni all'agenzia
Richiedi informazioni all'agenzia
