Bilocale ristrutturato a Rivoli
70 m2
2 vani
1 camera
1 bagno
€ 119.000
Appartamento in Vendita di 70 mq a Rivoli
Rivoli, centro storico, a due passi da Via Piol e da Piazza San Rocco, nelle vicinanze di tutti i servizi, proponiamo alloggio all'interno di corte con cortile in comune.
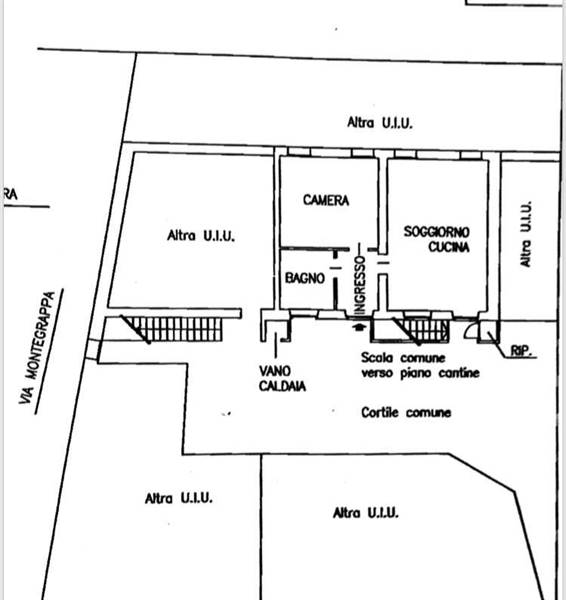
Situato al piano terra, è così composto: ingresso, ampia zona giorno con cucina a a vista, camera, bagno, ripostiglio.
Al piano interrato cantina.
Ristrutturato nel 2015, coibentato con cappotto interno e caldaia a condensazione installata recentemente.
Riscaldamento autonomo, basse spese condominiali.
Attestato di Prestazione Energetica 'F'
Informazioni generali
450
70 m2
2 locali
€ 119.000
Vendita
Appartamento
Rivoli
Libero
17/04/2019
Accessori
1
1
Autonomo
Ristrutturato
Efficienza energetica
F
F
Planimetria
Richiesta informazioni all'agenzia
Richiedi informazioni all'agenzia
