Terreno edificabile in nuova costruzione a Nervesa della Battaglia
RIF.PT3 TERRENO EDIFICABILE IN BELLA POSIZIONE
NERVESA DELLA BATTAGLIA, Frazione - Cerchi casa sul Montello ? Cerchi un ambiante rilassante e confortevole dove vivere?
Ti proponiamo questo terreno edificabile, dove costruire la tua casa, secondo i tuoi gusti e le tue necessità.
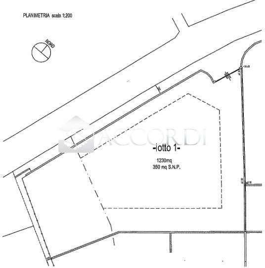
Lotto di mq. 1250 , utili per una casa singola o una bifamiliare.
MAGGIORI INFO IN AGENZIA.
Siamo felici di aiutarti a scegliere la casa migliore per la tua famiglia: chiamaci per fissare un appuntamento con i nostri incaricati.
Si intende precisare che gli indirizzi presenti negli annunci non sono identificativi dell'ubicazione precisa dell'immobile, danno un riferimento solo generico della zona al cliente che ricerca, al fine di tutelare la privacy e riservatezza del venditore. Per visionare l'immobile o per ricevere ulteriori informazioni contattateci: 0423 1904721. - Le nostre sedi : Montebelluna (TV) - Maser (TV) - Conegliano (TV) - Jesolo (VE).
Dove si trova
Informazioni generali
Planimetria
Video
Richiesta informazioni all'agenzia
Richiedi informazioni all'agenzia
